这样虐待猫咪太残忍!
动物保护机构一直提倡以「领养代替购买」,给流浪动物们一个家。下面这名中国深圳女网友1年多前就收养了一只猫咪。最近,她抚摸猫咪时发现牠脖子后方有不正常凸起,猫咪看起来也很痛苦。她带猫咪去看医生,拍摄X光片后才发现牠体内有30到40根细针,兽医认为这可能是被空气枪射入的。
▼当时领养猫咪时,这名网友只带牠做了血常规猫瘟等检查,不知道还要去照X光片。

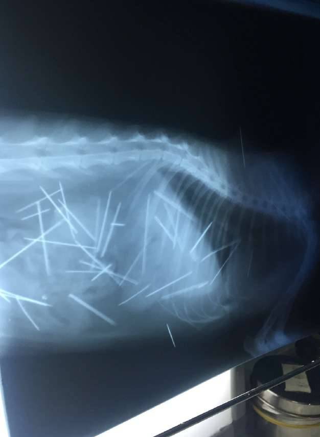
▼这次动物医院连续照了53次X光片,发现猫咪体内有多根细针,有些已经生鏽。

▼其中7根针在皮肤和肌肉、3根针和2根断针在胸腔心脏旁边,30根针在腹腔,其中有4根是插入到左侧肾脏。


▼现在这些针已经开始游离,猫咪很痛苦。医生表示手术也只能取出2/3。

▼很多网友不相信这件事,认为不可能养猫一年都没有察觉,甚至认为她想要藉机骗钱。猫咪主人表示,自己并不想要搏版面,这都是实情。

从X光片可以看到,猫咪体内布满密密麻麻的细针,看起来怵目惊心。一年多来,猫咪一直忍受针刺的痛苦,牠无法说话,只能默默承受。在热心人士的帮忙协助下,猫咪终于做完手术,希望牠能够快点好起来,不要再遭遇这样可怕的事。分享出去,让大家都看到吧。
喜欢这篇文章吗?快分享吧!





